Transforming Circleville:
252 at the Circle Multifamily Development
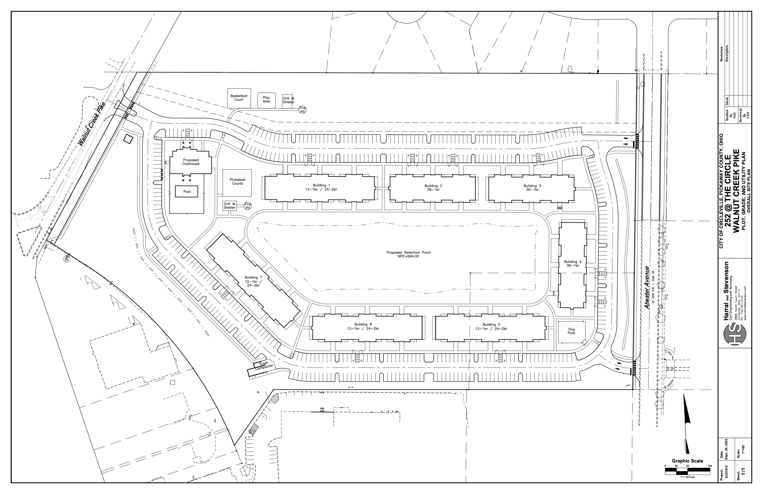
We are excited to share details about our recently approved project in the City of Circleville —252 at the Circle multifamily development. This project is a key component of a larger PUD master plan designed to revitalize and enhance the area, bringing new residential opportunities to the community.
As a civil engineering and surveying firm, our role focused on designing the grading and utilities for the site, ensuring a seamless integration into the existing landscape without the need for significant infrastructure extensions. One of the standout features of this development is the inclusion of a large pond, which serves a dual purpose: providing an attractive aesthetic element and addressing regional stormwater management challenges.
Historically, flooding issues in the vicinity have been a concern, but the stormwater solution incorporated into the design effectively mitigates this problem, contributing to the area's resilience.
Another important achievement of this project was the connection of Atwater Avenue, which now offers residents a more direct route into town. This connection not only improves accessibility but also enhances the overall connectivity of the neighborhood, fostering easier movement and community integration.
Our client, AB Contracting of West Virginia, entrusted us with this project, and we are proud of how our design solutions have supported its successful completion. The 252 at the Circle development exemplifies smart planning, sustainable stormwater management, and thoughtful infrastructure connections that benefit both the community and the environment.
We look forward to continuing to support projects that enhance communities and create lasting value.
Craig E. Stevenson PE, PS
Partner
O: 740-497-4432 ext. 101
C: 614-561-7961
cstevenson@harralstevenson.com
As a civil engineering and surveying firm, our role focused on designing the grading and utilities for the site, ensuring a seamless integration into the existing landscape without the need for significant infrastructure extensions. One of the standout features of this development is the inclusion of a large pond, which serves a dual purpose: providing an attractive aesthetic element and addressing regional stormwater management challenges.
Historically, flooding issues in the vicinity have been a concern, but the stormwater solution incorporated into the design effectively mitigates this problem, contributing to the area's resilience.
Another important achievement of this project was the connection of Atwater Avenue, which now offers residents a more direct route into town. This connection not only improves accessibility but also enhances the overall connectivity of the neighborhood, fostering easier movement and community integration.
Our client, AB Contracting of West Virginia, entrusted us with this project, and we are proud of how our design solutions have supported its successful completion. The 252 at the Circle development exemplifies smart planning, sustainable stormwater management, and thoughtful infrastructure connections that benefit both the community and the environment.
We look forward to continuing to support projects that enhance communities and create lasting value.
Craig E. Stevenson PE, PS
Partner
O: 740-497-4432 ext. 101
C: 614-561-7961
cstevenson@harralstevenson.com

